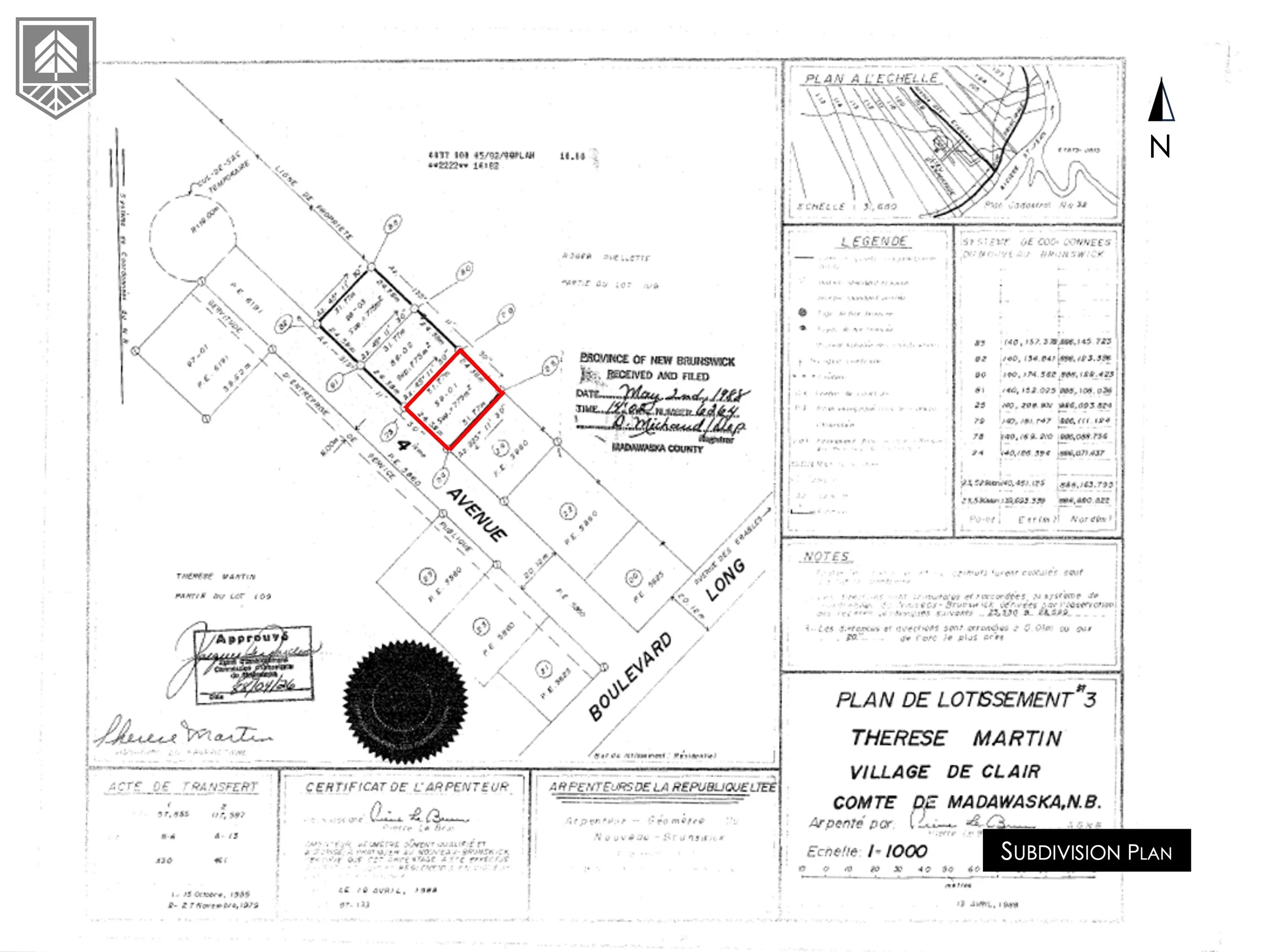
Description: This 775 sq m building lot is in the village of Clair, NB, which is part of Haut-Madawaska. The land is only 35 minutes from Edmundston, and only 1 km from the Fort Kent U.S. border crossing. With 24 metres of road frontage, this lot is in a great neighbourhood and is connected to municipal water and sewer. It is within walking distance of the Kindergarten to Grade 8 school and the local skating rink / sports centre, the Complexe Multifonctionnel de Clair. The lot, although small, backs onto a fully treed lot that is unlikely to ever be developed due to the uneven terrain and waterway that runs through it, thus maintaining privacy and peace to the rear of your future home. A major employer in Clair, the Irving sawmill, is a 3 minute drive away.

Location: This plot is located on 4th ave in Clair, NB, just off Hwy 161, and lies within the boundaries of Haut-Madawaska.

PID: 35234798 | PAN: 03974800 | 2025 Property Tax: $215.38

Size: 0.2 acres | 775 sq m | 8,342 sq ft

The boundaries marked in the photos are approximate.

Rent-to-Own is available for this property with $1500 down and:

  • 12 payments of $1,408.33 with no RTO fee; or

  • 24 payments of $780.83; or

  • 36 payments of $520.56; or

  • 48 payments of $409.58; or

  • 60 payments of $327.67.

    For more information on Rent-to-Own, visit the “How to Buy” page HERE