
THIS PROPERTY IS SOLD
|
THIS PROPERTY IS SOLD |
THIS PROPERTY IS SOLD
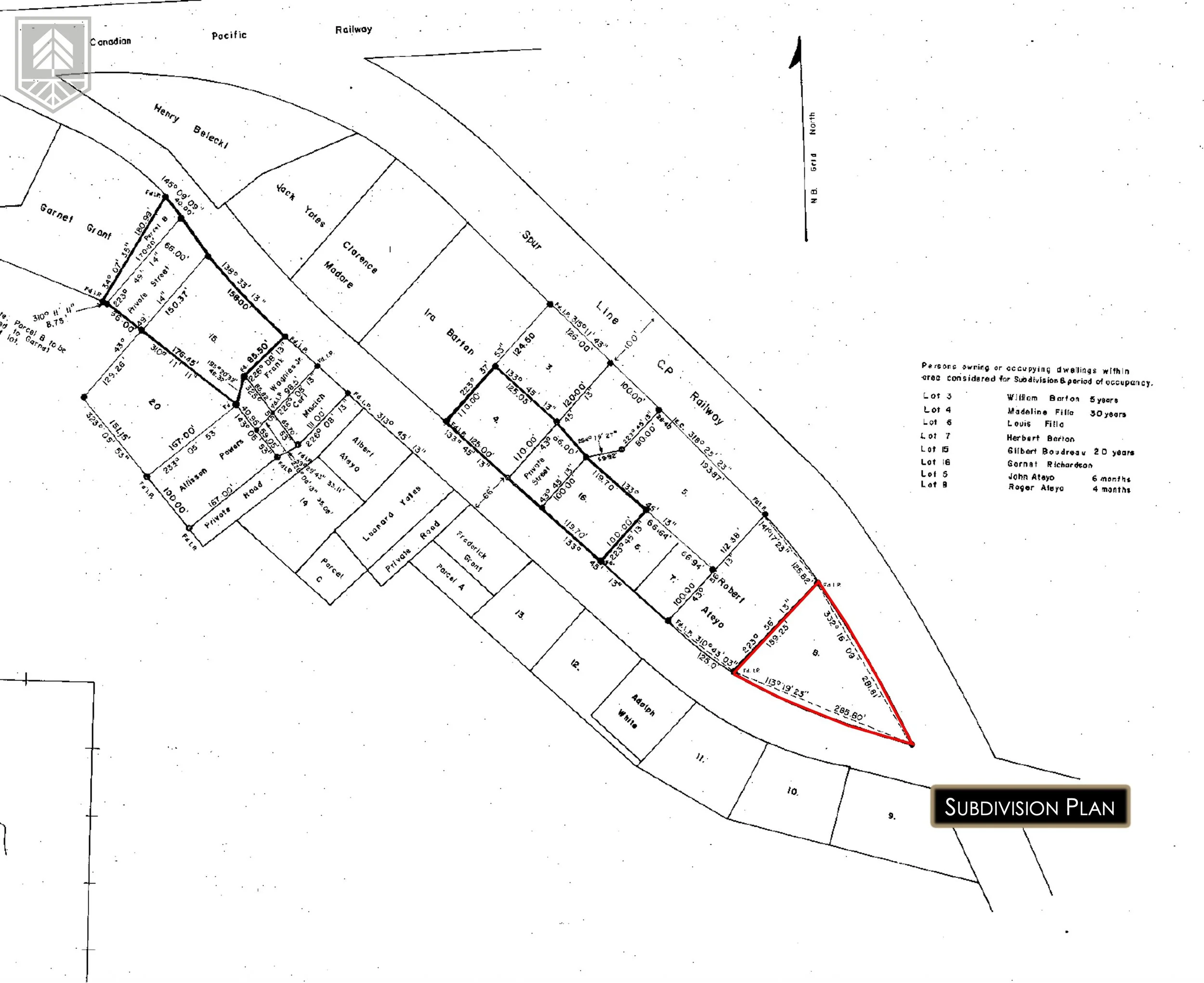
Description: This 2710 sq m lot is located at the very end of Upton St, and sits just outside the town boundaries of Minto. The land has 81m of road frontage, and power poles run across the front of the land. While the neighbours are on well and septic, according to the locals, the town has plans to bring municipal sewer to the neighbourhood within the next couple of years. Located next to a large unused gravel pit (may have been a mine at one point) this land is perfect for someone who enjoys off roading. If you don’t have a side-by-side or a 4-wheeler, you’re going to want one if you buy this land – the pit connects to Local Trail 4401, leading to Provincial Trail 27, which links to 100’s of kms of trails across the entire province. The land is flat and dry and is build ready, however, the remnants of an old sawmill sits on the land, and while the concrete footings that remain take up a small footprint, removing them would provide more options for building. The land falls under Region 11 – Capital Region Service Commission, and is part of the “Rural District” for zoning purposes. In short, yes, you can park a camper here, build a camp, place a mini-home, or build a house, but for specific questions about zoning and permits, visit their website for the most accurate information: https://capitalrsc.ca/.
Location & Directions: This lot is located next to 499 Upton St, is just outside the boundaries of the town of Minto, and is on the northwest side of Grand Lake. From Hwy 10, go east on Union St, and then turn right onto Upton St, travelling all the way to the end, where the lot will be on your left side just prior to the large gravel pit. An LUDC For Sale sign sits near the middle of the lot.
PID: 45019098 | PAN: 04317239 | 2025 Property Tax: $86.30
Size: 0.67 acres | 2,710 sq m | 29,170 sq ft
The boundaries marked in the photos are approximate.
Rent-to-Own is available for this property with $1200 down and:
12 payments of $1,002.08 with no RTO fee; or
24 payments of $556.15; or
36 payments of $370.76; or
48 payments of $291.85; or
60 payments of $233.48.
For more information on Rent-to-Own, visit the “How to Buy” page HERE